发布房源 关于我们 登录 注册 后台登录
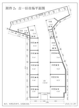
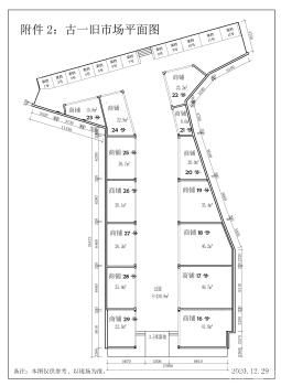
古一旧市场商铺21号(中山市古镇镇古一村股份合作经济联合社)
古一旧市场商铺21号(中山市古镇镇古一村股份合作经济联合社)
古一旧市场商铺21号(中山市古镇镇古一村股份合作经济联合社)
古一旧市场商铺21号(中山市古镇镇古一村股份合作经济联合社)
编号:20251216152930387 发布时间:2025-12-16 15:29:30

古一旧市场商铺21号(中山市古镇镇古一村股份合作经济联合社)

6500元/年
  • 1年出租年限
  • 1间房间总数
  • 9㎡总面积
慢居乡野,让生活回归自然
付款方式:年付 房屋面积:9㎡ 所在地址:古一村古一旧市场商铺21号
联系人:苏小姐、吴小姐
0760-23366623 手机查看此房源
基本信息
  • 总房间数:1间
  • 可住人房间数量:1间
  • 厕所数量:0
  • 可否改建:不可改建
  • 卫生间类型:下水道
  • 水电类型:自来水
  • 周边土地:
  • 交通:
  • 所在地址:古一村古一旧市场商铺21号
房屋详情


X
©2026 美丽乡居 版权所有|粤ICP备13033288号-15